Local Service Overview

Get Black Ant Extermination in Waxahachie, TX

Black Ant Extermination services for property owners in Waxahachie, TX, typically address ant infestations, prevent future invasions, and treat residential or commercial structures.

Waxahachie, TX

Black ant extermination services are a practical solution for property owners in Waxahachie, TX seeking to maintain a comfortable and pest-free environment. These services help prevent ant infestations from disrupting daily activities, ensuring spaces remain functional and inviting. By addressing ant issues promptly, property owners can enjoy a sense of safety and peace of mind, knowing their homes and businesses are protected from potential damage and inconvenience caused by these persistent pests.

Engaging professional extermination services also offers long-term benefits such as enhanced durability of structures and reduced maintenance needs. Proper treatment helps safeguard the integrity of building foundations, landscaping, and other property features, while also boosting curb appeal by keeping outdoor areas neat and pest-free. Overall, these services support a safe, attractive, and well-maintained property that meets the expectations of homeowners and business owners alike.

Get Black Ant Extermination Quotes

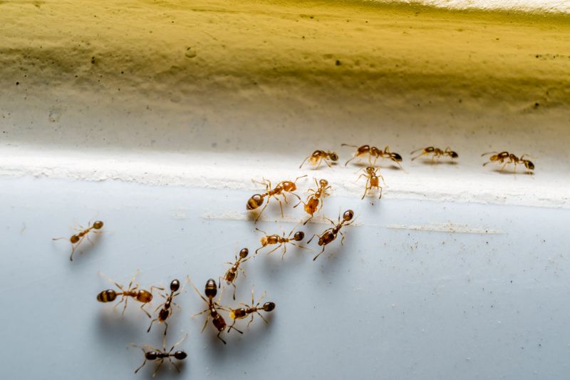
  • Ant Extermination - needed when black ants invade kitchens, pantries, or outdoor areas around homes and businesses.
  • Indoor Black Ant Control - required if black ants are found nesting inside walls, basements, or attics.
  • Outdoor Black Ant Treatment - necessary when black ant colonies are present in yards, gardens, or landscaping around properties.
  • Perimeter Pest Control - used to create a barrier against black ants and prevent future infestations around structures.
  • Emergency Black Ant Removal - sought when black ant activity suddenly escalates or becomes unmanageable in residential or commercial spaces.

Get Black Ant Extermination Quotes

Black Ant Extermination
Black Ant Extermination
Black Ant Extermination

Black ant extermination services focus on eliminating infestations of black ants from residential and commercial properties. These services typically involve thorough inspections to identify the extent of the ant problem and locate entry points and nesting areas. Treatment methods may include the application of targeted insecticides, baiting systems, and sealing of entry points to prevent future invasions. The goal is to reduce or eradicate black ant populations, helping property owners regain control over their indoor and outdoor spaces.

Black ants can become a persistent nuisance, especially when they invade kitchens, pantries, and other areas where food is stored. Their presence can lead to contamination of food supplies and create unsanitary conditions. In addition to the inconvenience, large ant colonies can cause structural damage over time if they nest within walls or beneath foundations. Exterminating black ants helps address these issues by removing active colonies and implementing preventative measures to reduce the likelihood of future infestations.

The types of properties that commonly utilize black ant extermination services include single-family homes, apartment complexes, restaurants, and retail stores. Residential properties often seek treatment when ants are seen foraging indoors or around the yard. Commercial establishments, particularly those involved in food service, prioritize pest control to maintain hygiene standards and comply with health regulations. In both cases, professional services aim to create a pest-free environment that minimizes disruption and health concerns.

Partnering with local pest control providers ensures that property owners receive tailored solutions for black ant issues. These professionals assess the specific needs of each property, considering factors such as location, property size, and the severity of the infestation. By working with experienced service providers, property owners can effectively manage black ant problems and implement ongoing prevention strategies to keep their spaces pest-free.

The overview below groups typical Black Ant Extermination projects into broad ranges so you can see how smaller, mid-sized, and larger jobs often compare in Waxahachie, TX.

In many markets, a large share of routine jobs stays in the lower and middle ranges, while only a smaller percentage of projects moves into the highest bands when the work is more complex or site conditions are harder than average.

Initial Treatment Cost - The cost for a one-time black ant extermination service typically ranges from $150 to $300, depending on the size of the property and infestation severity. For example, a small home in Waxahachie might cost around $150, while larger properties could be closer to $300.

Monthly Maintenance Plans - Ongoing monthly treatments generally cost between $50 and $100 per visit, with some providers offering discounts for multi-month contracts. These plans are suitable for preventing future black ant problems over time.

Per-Visit Charges - Some service providers charge per visit, with prices usually between $100 and $200 each. The number of visits needed depends on the extent of the ant infestation and the property size.

Additional Service Fees - Extra charges may apply for specialized treatments or large properties, often ranging from $50 to $150. These fees cover extra materials or additional visits required to fully eliminate black ant colonies.

Actual totals will depend on details like access to the work area, the scope of the project, and the materials selected, so use these as general starting points rather than exact figures.

Get a Black Ant Extermination Quote

Black Ant Extermination services address infestations of black ants in residential and commercial properties, helping to eliminate colonies and prevent future invasions.

Local pest control providers specializing in black ant removal utilize targeted methods to effectively reduce ant populations and protect property structures.

Black ant extermination projects often involve inspection, treatment, and ongoing monitoring to ensure the pests do not return.

Professionals offering black ant extermination services can advise on integrated pest management strategies to control ant activity long-term.

These services are suitable for properties experiencing persistent black ant issues, especially in areas with high ant activity.

Contacting experienced local providers ensures tailored solutions for black ant problems in various environments and property types.

Black Ant Extermination

When evaluating local professionals for black ant extermination services, it is important to consider their experience in handling ant infestations similar to yours. A reputable contractor will have a history of successfully managing black ant problems in residential settings, demonstrating familiarity with effective treatment methods. Homeowners can inquire about how long a pest control provider has been operating in the area, as well as their familiarity with local ant species, to ensure they have the relevant expertise.

Clear communication and transparent written expectations are essential when working with a pest control provider. Pros should provide detailed information about the scope of services, treatment procedures, and any necessary preparations or follow-up actions. Having these expectations in writing helps prevent misunderstandings and ensures that homeowners are well-informed about what to anticipate during and after the treatment process.

Reputable local pros can often provide references or testimonials from previous clients, giving insight into their reliability and quality of work. It is also beneficial to assess how well the contractor communicates, including responsiveness and clarity in explaining treatment options. Homeowners should seek providers who are transparent, approachable, and willing to address questions thoroughly, helping to establish a trustworthy working relationship for effective black ant extermination.

Get a Black Ant Extermination Quote

Property owners in Waxahachie, TX use Black Ant Extermination services for practical projects around their homes and businesses. The sections below highlight everyday jobs and straightforward project options.

Black Ant Extermination
Black Ant Extermination

Black ant infestations are a common concern for property owners in Waxahachie, TX, especially during warmer months when ants become more active. Ants can invade homes and businesses in search of food and water, leading to potential nuisances and concerns about hygiene. Property owners may seek extermination services to eliminate these pests quickly and prevent further invasions that could damage structures or contaminate food supplies.

Additionally, ongoing ant problems can be difficult to control without professional assistance. Property owners might look for local extermination services to address persistent ant issues that DIY methods haven't resolved. Professional pest control providers can implement targeted treatments to reduce ant populations effectively, helping to maintain a clean and pest-free environment in residential and commercial properties throughout Waxahachie.

Get a Black Ant Extermination Quote

Why are black ants attracted to my home? Black ants are drawn to food sources, moisture, and shelter, making homes and kitchens common areas for infestations.

What signs indicate a black ant infestation? Visible trails of ants, presence of small ant mounds, and finding ants in kitchens or along walls are common signs of an infestation.

How do pest control professionals eliminate black ants? Local service providers typically use targeted treatments, including baits and sprays, to remove black ant colonies effectively.

Are black ants likely to return after treatment? Proper treatment by experienced professionals can significantly reduce the chances of black ants returning, though ongoing sanitation helps prevent re-infestation.

How can I prevent future black ant problems? Keeping food sealed, eliminating moisture sources, and maintaining clean environments can help prevent future black ant issues, with guidance from local pest control providers.

Black Ant Extermination Solutions - Local service providers offer targeted treatment options to eliminate black ants from residential and commercial properties.

Inspection and Identification - Pros can assess infested areas to identify ant entry points and nesting sites for effective removal strategies.

Preventive Treatments - Experts recommend ongoing prevention methods to reduce the likelihood of future ant invasions.

Customized Pest Control Plans - Service providers develop tailored plans based on the severity of the infestation and property specifics.

Black Ant Extermination

Considering Black Ant Extermination for a property in Waxahachie, TX? The sections above highlight common project types, practical options, and details that often shape the scope of work.

When you are ready, use the quote form to share a few details about your project. Local pros can review the basics and respond with options that match what you have in mind.

Get a Black Ant Extermination Quote

Black Ant Extermination Quotes

Our Trusted Partners
Cantu Pest Control
Orkin
Hawx Pest Control