Local Service Overview

Get Ants Extermination Service in Arlington, TX

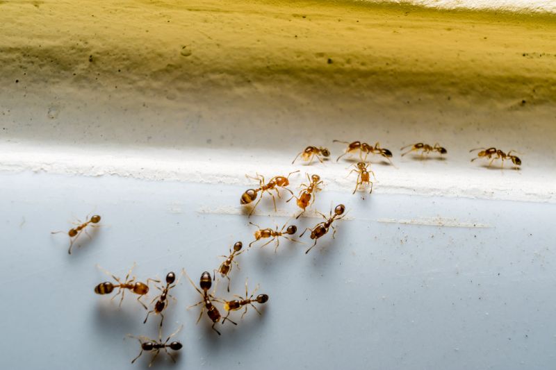
Ants extermination services for property owners in Arlington, TX, and nearby areas address ant infestations, prevent future invasions, and handle residential or commercial ant control projects.

Arlington, TX

Ants extermination services in Arlington, TX are essential for property owners seeking to maintain a comfortable and safe living environment. Infestations can compromise the functionality of outdoor and indoor spaces, leading to increased maintenance and potential damage to structures. Professional extermination helps eliminate ant colonies effectively, reducing the risk of recurring issues and ensuring that homes and businesses remain inviting and secure.

Choosing expert ant control services offers several benefits, including enhanced curb appeal and durability of property features. By addressing infestations promptly, property owners can enjoy a cleaner, more attractive appearance while minimizing disruptions caused by ant activity. Additionally, ongoing pest management can contribute to reduced maintenance needs and help preserve the integrity of the property over time.

Get Ants Extermination Service Quotes

  • Ant Infestation Removal - needed when ants invade kitchens, bathrooms, or other indoor spaces in Arlington, TX and surrounding areas.
  • Outdoor Ant Control - required when ants build nests around yards, gardens, or property foundations near Dallas or Fort Worth.
  • Ant Prevention Services - useful for homeowners seeking to avoid future ant problems in residential or commercial properties in nearby neighborhoods.
  • Carpenter Ant Treatment - necessary when wood structures or furniture show signs of ant damage in homes or businesses in the Arlington region.
  • Emergency Ant Extermination - sought when ant infestations become severe or sudden, disrupting daily activities in local homes or workplaces.

Get Ants Extermination Service Quotes

Ants Extermination Service
Ants Extermination Service
Ants Extermination Service

Ants extermination services involve identifying the source of an ant infestation and implementing targeted treatment methods to eliminate the pests. Service providers typically conduct a thorough inspection of the property to locate ant colonies, entry points, and trails. Once the problem areas are determined, they may apply baiting systems, insecticidal dust, or liquid treatments designed to eradicate ants at their source. These services aim to reduce ant populations effectively and prevent future invasions by sealing entry points and providing recommendations for ongoing pest management.

Ant infestations can cause significant problems for property owners, including damage to structures, contamination of food supplies, and general nuisance. Certain species of ants, such as carpenter ants, are known to cause structural damage by excavating wood to build their nests. Additionally, ants can invade kitchens and pantries, contaminating food and creating unsanitary conditions. Professional extermination services help address these issues by removing the pests efficiently and reducing the risk of recurring problems.

Various types of properties utilize ants extermination services, including residential homes, apartment complexes, and commercial establishments. Homes in suburban neighborhoods or rural areas are often targeted for ant control, especially during warmer months when ant activity increases. Commercial properties such as restaurants, grocery stores, and food processing facilities also require pest management to maintain hygiene standards and comply with health regulations. Multi-unit residential buildings may need ongoing pest control plans to manage ant populations across multiple living spaces.

Partnering with local pest control providers ensures that property owners receive tailored solutions suited to their specific needs. These professionals use proven methods to eliminate ants and implement preventative measures to keep pests from returning. Whether addressing a minor infestation or a more extensive problem, local extermination services are equipped to handle a variety of property types and ant species, helping maintain a pest-free environment.

The overview below groups typical Ants Extermination Service projects into broad ranges so you can see how smaller, mid-sized, and larger jobs often compare in Arlington, TX.

In many markets, a large share of routine jobs stays in the lower and middle ranges, while only a smaller percentage of projects moves into the highest bands when the work is more complex or site conditions are harder than average.

Initial Inspection - Typically costs between $50 and $150 for a professional inspection to identify ant activity and nesting sites. Prices may vary based on property size and complexity of the infestation.

Spot Treatments - Single-treatment services usually range from $100 to $300, depending on the extent of the ant problem and the treatment method used. Larger or more severe infestations may incur higher costs.

Full Property Extermination - Complete ant extermination services generally fall within $200 to $600, covering multiple treatments and extensive areas. The final cost depends on property size and severity of the infestation.

Ongoing Prevention - Preventative treatment plans can cost between $50 and $150 per visit, with some providers offering package deals for regular inspections and treatments to keep ants at bay.

Actual totals will depend on details like access to the work area, the scope of the project, and the materials selected, so use these as general starting points rather than exact figures.

Get an Ants Extermination Service Quote

Ants Extermination services connect property owners with local pest control providers who specialize in eliminating ant infestations. These professionals assess the extent of the ant problem and implement targeted treatment plans.

Residential Ants Control providers focus on removing ants from homes and residential properties, helping to restore comfort and prevent future invasions through effective treatment methods.

Commercial Ants Removal services assist business owners in managing ant issues within commercial spaces, ensuring the environment remains pest-free and compliant with health standards.

Outdoor Ants Management specialists address ant colonies outside of structures, employing techniques to reduce ant populations around yards, gardens, and landscaping areas.

Emergency Ants Extermination providers offer prompt response options for sudden ant infestations that require immediate attention to prevent further spread or damage.

Integrated Pest Management for Ants services utilize comprehensive strategies combining various methods to control and prevent ant populations effectively over time.

Ants Extermination Service

When evaluating local professionals for ant control services, experience is a key factor to consider. Pros with a proven track record in ant extermination often demonstrate familiarity with common household ant issues and effective treatment methods. Homeowners can inquire about the number of years a contractor has been providing pest control services in Arlington, TX, and nearby areas, as well as the types of ant infestations they have successfully managed. This background can offer insight into their expertise and ability to handle various situations efficiently.

Clear communication and well-defined expectations are essential when working with pest control providers. Reputable local pros typically provide detailed information about their treatment approaches, what homeowners can expect during and after service, and any necessary follow-up procedures. This transparency helps set realistic expectations and ensures that homeowners are well-informed about the scope and nature of the work before commitments are made.

References and reputation are valuable indicators of a contractor’s reliability and quality of service. Homeowners are encouraged to seek out local pros with positive references from previous clients and strong reputations within the Arlington community. Online reviews, testimonials, or recommendations from neighbors can serve as useful tools for assessing a service provider’s credibility. Effective communication throughout the process, including prompt responses to inquiries and clarity about services offered, further supports a smooth experience when selecting a local ant extermination professional.

Get an Ants Extermination Service Quote

Property owners in Arlington, TX use Ants Extermination Service services for practical projects around their homes and businesses. The sections below highlight everyday jobs and straightforward project options.

Ants Extermination Service
Ants Extermination Service

Ants extermination services are commonly sought after by property owners in Arlington, TX, when encountering persistent ant infestations in residential or commercial spaces. These pests can invade kitchens, bathrooms, and outdoor areas, creating nuisances and potential health concerns. Property owners may look for professional assistance to effectively eliminate ants and prevent future invasions, especially when DIY methods have proven ineffective.

In addition to ongoing infestations, property owners might pursue ants extermination services in response to specific project situations, such as preparing a property for sale or renovation. Ensuring a pest-free environment can be an important part of property maintenance and presentation. Local service providers offer targeted solutions to address these needs, helping property owners manage ant problems efficiently.

Get an Ants Extermination Service Quote

How do ant extermination services work? Ant extermination services typically involve inspecting the property, identifying ant species and entry points, and applying targeted treatments to eliminate colonies and prevent future infestations.

Are the treatments safe for pets and children? Many extermination providers use treatments that are considered safe when applied properly; it’s advisable to discuss safety concerns with the local pros during contact.

How long does an ant extermination treatment last? The duration of effectiveness varies depending on the treatment method and extent of the infestation; local service providers can provide guidance on maintenance and follow-up.

Can ant extermination services prevent future infestations? Yes, professional treatments often include recommendations and barrier methods to help prevent ants from returning.

What should I do before a pest control appointment? It’s typically recommended to clear the area of food and dishes, and inform the service provider of any specific concerns or areas of activity during contact.

Ants Extermination Options - Local pest control providers offer a variety of methods to eliminate ant infestations effectively.

Inspection and Identification - Pros can identify ant species and nesting areas to develop targeted treatment plans.

Preventive Strategies - Service providers can recommend measures to reduce the likelihood of future ant problems around properties.

Ongoing Monitoring - Regular inspections help maintain ant-free environments and address new activity promptly.

Ants Extermination Service

Considering Ants Extermination Service for a property in Arlington, TX? The sections above highlight common project types, practical options, and details that often shape the scope of work.

When you are ready, use the quote form to share a few details about your project. Local pros can review the basics and respond with options that match what you have in mind.

Get an Ants Extermination Service Quote

Ants Extermination Quotes

Our Trusted Partners
Cantu Pest Control
Orkin
Hawx Pest Control