Local Service Overview

Get Ants Extermination Service in Cedar Hill, TX

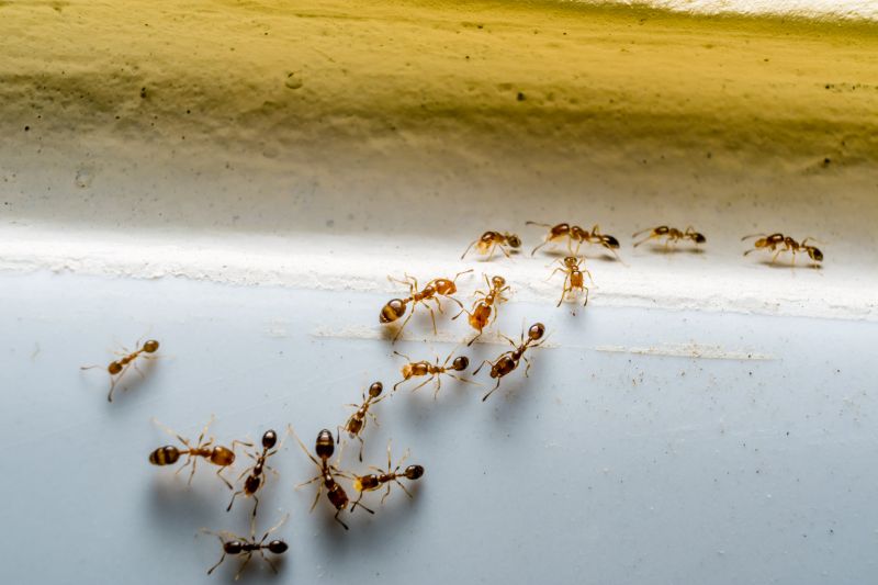
Ants extermination services for Cedar Hill, TX, and nearby areas address ant infestations, nests, and ongoing control for residential and commercial properties.

Cedar Hill, TX

Ants extermination services are essential for property owners in Cedar Hill, TX who want to maintain a comfortable and functional living or working environment. Effective removal helps prevent infestations that can disrupt daily routines, damage structures, or contaminate food supplies. By addressing ant problems promptly, property owners can enjoy peace of mind, knowing that their spaces are safer and more inviting for family, guests, or employees.

Choosing professional ant extermination offers several benefits, including enhanced durability of pest control efforts and reduced ongoing maintenance. Skilled service providers utilize targeted treatments that effectively eliminate current colonies and prevent future invasions. This not only preserves the curb appeal of properties by keeping them free of visible pests but also promotes a safer, more hygienic environment for residents and visitors alike.

Get Ants Extermination Service Quotes

  • Ant Infestation Removal - when ants have invaded a home or business in Cedar Hill, TX, and surrounding areas.
  • Kitchen Ant Control - to address ant problems that originate from food sources in kitchens or dining areas.
  • Outdoor Ant Extermination - for eliminating ant colonies in lawns, gardens, or outdoor structures in nearby neighborhoods.
  • Persistent Ant Problems - when ants repeatedly return despite initial treatment efforts in residential or commercial properties.
  • Ant Nest Eradication - to target and remove ant nests located beneath foundations, patios, or other hard-to-reach areas.

Get Ants Extermination Service Quotes

Ants Extermination Service
Ants Extermination Service
Ants Extermination Service

Ants extermination services involve identifying and eliminating ant infestations within residential, commercial, or industrial properties. Service providers typically conduct thorough inspections to determine the extent of the ant problem and locate the nests or entry points. Treatments may include the application of targeted insecticides, baiting systems, and barriers designed to prevent further intrusion. The goal is to reduce or eliminate ant populations, helping to restore a pest-free environment and prevent damage or contamination caused by these insects.

Ant infestations can lead to various problems for property owners. Ants can contaminate food supplies, especially in kitchens and food storage areas, creating health concerns. Certain species, such as carpenter ants, may also cause structural damage by burrowing into wood structures. Additionally, large colonies can become a nuisance, invading living spaces and work areas, which can disrupt daily activities. Professional extermination services are aimed at addressing these issues effectively and preventing recurring problems.

Properties that commonly seek ant extermination services include single-family homes, apartment complexes, restaurants, and retail stores. Residential properties often require treatments to safeguard food and maintain comfort, while commercial establishments focus on pest control to meet health and safety standards. Warehouses and industrial facilities with stored goods may also require targeted solutions to prevent ant infestations that could compromise products or operations. Regardless of property type, professional pest control providers tailor their methods to suit the specific needs of each location.

Engaging with local pest control professionals for ant extermination can offer effective solutions to persistent infestations. These service providers utilize a variety of treatment techniques designed to target different ant species and infestation levels. Regular inspections and preventative measures may also be recommended to reduce the likelihood of future invasions. Property owners and managers can contact local experts to discuss their specific pest issues and explore options for maintaining a pest-free environment.

The overview below groups typical Ants Extermination Service projects into broad ranges so you can see how smaller, mid-sized, and larger jobs often compare in Cedar Hill, TX.

In many markets, a large share of routine jobs stays in the lower and middle ranges, while only a smaller percentage of projects moves into the highest bands when the work is more complex or site conditions are harder than average.

Initial Inspection - The cost for an ant inspection typically ranges from $50 to $150, depending on the property size and complexity. This fee covers identifying the ant species and locating entry points.

Basic Treatment - A standard ant extermination service usually costs between $100 and $300. Prices vary based on the extent of the infestation and the treatment method used.

Extended Treatment - For severe or widespread ant problems, service providers may charge between $200 and $500. Multiple visits and specialized treatments can influence the overall cost.

Follow-up Services - Follow-up visits generally range from $50 to $150 each, ensuring that ants are completely eradicated and preventing future infestations.

Actual totals will depend on details like access to the work area, the scope of the project, and the materials selected, so use these as general starting points rather than exact figures.

Get an Ants Extermination Service Quote

Ants Extermination - Local pest control providers offer specialized services to eliminate ant infestations in residential and commercial properties in Cedar Hill, TX. They utilize effective treatment methods to address different species of ants.

Ants Prevention - Service providers can implement preventive measures to reduce the likelihood of future ant invasions around homes and businesses. These include sealing entry points and advising on sanitation practices.

Ants Inspection - Professionals conduct thorough inspections to identify ant colonies and assess the extent of the infestation. This helps determine the most effective treatment approach.

Ants Baiting - Local pros may utilize baiting systems to attract and eliminate ants at the source, reducing the need for widespread chemical applications.

Ants Treatment Plans - Customized treatment plans are available from service providers to address specific ant problems, ensuring targeted and effective solutions.

Ants Extermination Consultation - Experts can provide advice on ant control strategies tailored to properties in Cedar Hill, TX, and nearby areas to prevent future issues.

Ants Extermination Service

When selecting a professional for ant extermination services, experience is an important factor to consider. Local service providers often have a history of working within communities like Cedar Hill, TX, giving them insight into common ant issues and effective treatment methods specific to the area. Homeowners can review the background of local pros to understand their familiarity with different ant species and their approach to pest control, which can contribute to more reliable results.

Clear communication and written expectations are essential when coordinating pest control services. Reputable local providers typically offer detailed information about their methods, what homeowners can expect during and after treatment, and any necessary preparations. This transparency helps ensure that homeowners are well-informed and can make decisions aligned with their needs, reducing misunderstandings or surprises throughout the process.

References and reputation are valuable indicators of a local pro’s reliability and quality of service. Homeowners are encouraged to seek out reputable references or reviews from previous clients in the Cedar Hill area. Reliable providers often maintain positive feedback and a good standing within the community, which can serve as a helpful resource when comparing options. While the information below introduces local pros, it is important to contact and evaluate each provider directly to determine which one best aligns with individual preferences and expectations.

Get an Ants Extermination Service Quote

Property owners in Cedar Hill, TX use Ants Extermination Service services for practical projects around their homes and businesses. The sections below highlight everyday jobs and straightforward project options.

Ants Extermination Service
Ants Extermination Service

Ants extermination services are commonly sought by property owners in Cedar Hill, TX when they notice an ant infestation in their homes or businesses. Common situations include encountering persistent ant trails in kitchens or along walls, especially during warmer months when ants become more active. Property owners may also seek professional help after attempting DIY methods that do not fully eliminate the problem, or when they want to prevent future invasions in residential or commercial spaces.

In addition, local property owners might look for ant extermination services to address issues caused by ants nesting in lawns, gardens, or around the foundation of their buildings. These pests can sometimes be a nuisance or a sign of underlying issues that require professional assessment. Connecting with experienced local service providers can help ensure effective and targeted solutions to manage and prevent ant problems in Cedar Hill, TX properties.

Get an Ants Extermination Service Quote

How do ant extermination services work? Ant extermination services typically involve inspecting the property to identify ant colonies and entry points, then applying targeted treatments to eliminate ants and prevent future infestations.

Are the treatments safe for pets and children? Many extermination providers use treatments that are safe for household members, but it’s advisable to discuss specific concerns with the local pros during the contact process.

How long does an ant extermination service usually take? The duration varies depending on the extent of the infestation, but most treatments can be completed within a few hours.

Will I need multiple treatments to control an ant problem? Some ant infestations may require more than one treatment to fully eliminate the colony and prevent recurrence, as advised by local service providers.

How can I prevent future ant problems? Local pros often recommend maintaining cleanliness, sealing entry points, and removing food sources to help prevent future ant issues.

Ants Identification and Prevention - Local pest control providers can identify ant species and recommend prevention strategies to reduce future infestations.

Targeted Ant Extermination - Professionals utilize effective methods to eliminate ant colonies and clear affected areas efficiently.

Indoor and Outdoor Treatments - Service providers offer solutions for ant problems both inside the home and in outdoor spaces.

Ongoing Pest Management - Experts can establish ongoing plans to monitor and prevent ant re-infestation over time.

Ants Extermination Service

Considering Ants Extermination Service for a property in Cedar Hill, TX? The sections above highlight common project types, practical options, and details that often shape the scope of work.

When you are ready, use the quote form to share a few details about your project. Local pros can review the basics and respond with options that match what you have in mind.

Get an Ants Extermination Service Quote

Ants Extermination Quotes

Our Trusted Partners
Cantu Pest Control
Orkin
Hawx Pest Control