Local Service Overview

Get Black Ant Extermination in Hurst, TX

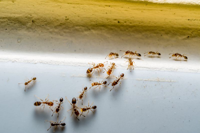
Black Ant Extermination services for property owners in Hurst, TX, and nearby areas address ant infestations, nesting issues, and ongoing pest prevention projects.

Hurst, TX

Black ant extermination services are a practical solution for property owners in Hurst, TX seeking to maintain a comfortable and safe living environment. Ant infestations can disrupt daily routines and compromise the usability of outdoor and indoor spaces, making timely removal essential. Professional exterminators employ targeted methods to effectively eliminate ant colonies, helping to reduce the likelihood of future invasions and ensuring that homes and businesses remain functional and inviting.

Choosing expert ant extermination offers several benefits, including enhanced durability of pest control efforts and reduced ongoing maintenance. Property owners often seek these services to improve curb appeal by preventing unsightly ant trails and nests around the property. Additionally, a pest-free environment contributes to peace of mind, supporting a safe and comfortable space for residents and visitors alike. Contacting local professionals can provide tailored solutions that address specific ant issues and protect the property's long-term integrity.

Get Black Ant Extermination Quotes

  • Black Ant Extermination services are needed when ant colonies invade indoor spaces, especially in residential or commercial properties.
  • Black Ant Extermination may be required in areas experiencing persistent ant activity during warmer months or after recent weather changes.
  • Black Ant Extermination is often sought in neighborhoods near wooded or grassy areas where ant populations tend to thrive.
  • Black Ant Extermination services are necessary when ant infestations disrupt daily activities or compromise sanitation standards.
  • Black Ant Extermination can be essential in properties where previous treatments have failed to eliminate recurring ant problems.

Get Black Ant Extermination Quotes

Black Ant Extermination
Black Ant Extermination
Black Ant Extermination

Black ant extermination services focus on eliminating infestations caused by these persistent insects. Professionals typically assess the extent of the problem, identify nesting sites, and apply targeted treatments to remove colonies. The process often involves the use of specialized baits, insecticides, and barriers designed to control and prevent future invasions. These services aim to reduce ant populations effectively and minimize the likelihood of recurring issues within a property.

Ant infestations can lead to various problems for property owners. Beyond the nuisance of swarming insects, black ants can contaminate food supplies, damage wiring or insulation, and create unsanitary conditions. In some cases, large colonies may threaten the structural integrity of a building or attract other pests. Addressing an ant problem promptly with professional extermination can help prevent these complications and maintain a cleaner, safer environment.

Properties that commonly seek black ant extermination services include residential homes, apartment complexes, and commercial buildings. Homes with gardens or landscaping are often more vulnerable to ant invasions, especially during warmer months. Commercial spaces such as restaurants, grocery stores, and warehouses also require regular pest management to ensure hygiene standards and prevent disruptions caused by ant activity. No matter the property type, professional exterminators tailor their approaches to suit the specific environment and infestation severity.

Engaging with local pest control providers ensures that property owners receive targeted solutions for black ant issues. These specialists have experience in identifying ant species and implementing effective treatment strategies suitable for various property types. By working with local pros, property owners can address infestations efficiently and reduce the risk of future ant problems, helping to maintain a pest-free environment.

The overview below groups typical Black Ant Extermination projects into broad ranges so you can see how smaller, mid-sized, and larger jobs often compare in Hurst, TX.

In many markets, a large share of routine jobs stays in the lower and middle ranges, while only a smaller percentage of projects moves into the highest bands when the work is more complex or site conditions are harder than average.

Initial Black Ant Extermination - The cost for a one-time treatment typically ranges from $150 to $300, depending on the extent of the infestation and property size. Example costs in Hurst, TX, often fall within this range for standard residences.

Recurring Service Plans - Ongoing black ant control services usually cost between $50 and $100 per visit, with some providers offering monthly or quarterly plans. These plans help maintain ant-free environments over time.

Inspection and Consultation Fees - Some service providers charge a fee for inspection, which can range from $50 to $150. This fee may be credited toward treatment costs if services are scheduled afterward.

Additional Treatment Costs - Extra charges may apply for specialized treatments, such as baiting or barrier applications, typically adding $50 to $200 to the overall cost depending on property size and treatment complexity.

Actual totals will depend on details like access to the work area, the scope of the project, and the materials selected, so use these as general starting points rather than exact figures.

Get a Black Ant Extermination Quote

Ant Infestation Removal - Local pest control providers offer specialized services to eliminate black ants from residential and commercial properties in Hurst, TX and nearby areas.

Ant Nest Identification - Service providers can locate and assess ant nests to determine the most effective removal strategies for black ant infestations.

Preventative Ant Control - Professionals provide preventative treatments to reduce the likelihood of future black ant invasions in homes and businesses.

Indoor Ant Extermination - Local pros use targeted approaches to eliminate black ants inside buildings, ensuring minimal disruption.

Outdoor Ant Barrier Treatments - Service providers apply barrier treatments around property perimeters to deter black ants from entering indoor spaces.

Black Ant Inspection Services - Experts conduct thorough inspections to identify black ant activity and recommend appropriate control solutions.

Black Ant Extermination

When selecting a professional for black ant extermination, it’s important to consider their experience with ant control services in the Hurst, TX area. Homeowners should look for local providers who have a history of successfully managing ant infestations, as familiarity with common local species and conditions can influence the effectiveness of treatment. Additionally, understanding what to expect from the service-such as the methods used, the scope of work, and any follow-up procedures-helps ensure transparency and aligns with homeowner needs.

Reputable local pros often have references or reviews that can provide insights into their reliability and quality of work. Homeowners are encouraged to seek out feedback from previous clients to gauge the effectiveness of the extermination services and the professionalism of the provider. Clear communication about the process, what the service entails, and any necessary preparations can help set appropriate expectations and foster trust between homeowners and service providers.

Since this platform connects homeowners with local pros rather than performing the work directly, it is essential to evaluate each provider’s reputation and communication practices independently. Homeowners should consider how responsive and transparent local contractors are in discussing their services, as well as their ability to provide detailed information about their experience and references. Making informed comparisons among local options can lead to choosing a provider that best aligns with specific needs for black ant extermination.

Get a Black Ant Extermination Quote

Property owners in Hurst, TX use Black Ant Extermination services for practical projects around their homes and businesses. The sections below highlight everyday jobs and straightforward project options.

Black Ant Extermination
Black Ant Extermination

Black ants can become a persistent nuisance for property owners in Hurst, TX, especially during warmer months when they search for food and water sources around homes and businesses. Common situations include spotting ant trails along walls, near kitchen counters, or around foundations, prompting property owners to seek professional extermination services to address the infestation effectively. Local service providers can assess the extent of the problem and implement targeted treatments to help eliminate these pests and prevent future invasions.

Property owners in Hurst might also consider extermination services if they notice ants entering through cracks, gaps, or other entry points around their property. In addition to the inconvenience, black ants can sometimes signal underlying issues such as moisture problems or food attractants that need addressing. Local pest control professionals can identify the causes of ant activity and recommend appropriate solutions to keep properties free of these insects.

Get a Black Ant Extermination Quote

Why are black ants attracted to my home? Black ants are drawn to food sources, water, and shelter within homes, especially in areas where crumbs, spills, or moisture are present.

How do extermination professionals eliminate black ants? Local service providers typically use targeted treatments, including baits and insecticides, to effectively reduce black ant populations.

Are black ants likely to return after treatment? Properly applied treatments can significantly decrease the chance of black ants returning, but ongoing prevention measures may be recommended.

What signs indicate a black ant infestation? Signs include visible ant trails, increased ant activity around food or water sources, and the presence of ant colonies near or inside the home.

How can I prevent black ants from entering my property? Sealing entry points, removing food sources, and eliminating standing water can help prevent black ants from invading indoor spaces.

Black Ant Extermination Techniques - Local service providers may use a variety of methods such as baiting, trapping, and targeted treatments to eliminate black ants effectively.

Preventive Black Ant Control - Experts can advise on sealing entry points and removing attractants to reduce the likelihood of future infestations.

Black Ant Inspection Services - Professionals can assess property conditions to identify ant nesting sites and recommend appropriate treatment strategies.

Ongoing Black Ant Management - Service providers might offer maintenance plans to monitor and control ant activity over time.

Black Ant Extermination

Considering Black Ant Extermination for a property in Hurst, TX? The sections above highlight common project types, practical options, and details that often shape the scope of work.

When you are ready, use the quote form to share a few details about your project. Local pros can review the basics and respond with options that match what you have in mind.

Get a Black Ant Extermination Quote

Black Ant Extermination Quotes

Our Trusted Partners
Cantu Pest Control
Orkin
Hawx Pest Control