Local Service Overview

Get Ants Extermination Service in Hutchins, TX

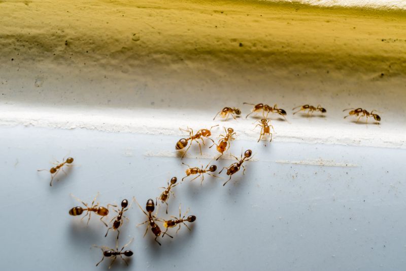
Ants extermination services for property owners in Hutchins, TX, and nearby areas address ant infestations, prevent future invasions, and handle residential and commercial pest control projects.

Hutchins, TX

Ants extermination services provide property owners in Hutchins, TX with an effective solution to manage and eliminate ant infestations. These services help maintain a comfortable living and working environment by preventing the nuisance and potential damage caused by ants. Additionally, addressing ant problems promptly can enhance the overall safety and functionality of a property, reducing the likelihood of structural damage or contamination that might compromise daily activities.

Choosing professional ant extermination can also contribute to improved curb appeal and long-term durability of a property. Regular treatments help keep unwanted pests at bay, decreasing the need for ongoing maintenance and repairs. This proactive approach supports a more inviting appearance and helps preserve the integrity of the building’s structure, ensuring a safer and more enjoyable space for residents and visitors alike.

Get Ants Extermination Service Quotes

  • Ants Infestation Removal - needed when ants invade kitchens, pantries, or other indoor spaces in Hutchins, TX and surrounding areas.
  • Ant Control for Gardens - suitable when ants threaten plants or garden structures in residential or commercial properties nearby.
  • Persistent Ant Problems - addressed when ants repeatedly return despite basic cleaning efforts in homes or businesses across the region.
  • Outdoor Ant Nests - encountered when large ant colonies establish underground or in landscape features near properties.
  • Ant Prevention Services - sought after to reduce the likelihood of future infestations in homes and commercial sites in Hutchins, TX and neighboring communities.

Get Ants Extermination Service Quotes

Ants Extermination Service
Ants Extermination Service
Ants Extermination Service

Ants extermination services involve identifying and eliminating ant infestations within residential, commercial, and industrial properties. Service providers typically conduct thorough inspections to locate ant colonies and determine the species involved. Treatment methods may include the application of targeted insecticides, baiting systems, and barrier treatments designed to eradicate ants at their source. These services aim to reduce ant populations effectively and prevent future invasions, ensuring a more comfortable and pest-free environment.

Ant problems can cause significant inconveniences and property damage, especially when colonies establish themselves indoors or in structural areas. Ants can contaminate food supplies, create unsightly trails, and in some cases, damage wiring or insulation. Exterminating ants helps address these issues by removing the pests and disrupting their nesting sites. Professionals often implement integrated pest management strategies to control the infestation while minimizing the risk of re-infestation, providing long-term relief for property owners.

Various types of properties utilize ants extermination services, including single-family homes, apartment complexes, restaurants, and office buildings. Residential properties are frequently targeted due to the nuisance and health concerns posed by ant colonies. Commercial establishments, especially those involved in food preparation or storage, seek extermination services to maintain hygiene standards and comply with health regulations. Industrial facilities with large storage areas or structural components also benefit from professional pest control to prevent widespread infestations that could disrupt operations.

Engaging with local pest control providers ensures that property owners receive tailored solutions suited to their specific needs. These professionals use proven techniques and products to effectively manage ant populations while addressing the unique challenges of each property type. Regular inspections and maintenance treatments can help sustain a pest-free environment, reducing the likelihood of future ant problems and protecting the integrity of the property. Contacting local service providers is a practical step toward resolving ant infestations efficiently and effectively.

The overview below groups typical Ants Extermination Service projects into broad ranges so you can see how smaller, mid-sized, and larger jobs often compare in Hutchins, TX.

In many markets, a large share of routine jobs stays in the lower and middle ranges, while only a smaller percentage of projects moves into the highest bands when the work is more complex or site conditions are harder than average.

Initial Inspection - The cost for an ant inspection typically ranges from $50 to $150, depending on property size and complexity. Some providers may charge a flat fee or include it with treatment services. Prices can vary based on local market rates in Hutchins, TX.

Perimeter Treatment - Applying ant barriers around a property generally costs between $100 and $300. Larger homes or properties with extensive landscaping may see higher prices, often up to $400. Service providers may offer package deals that include multiple treatments.

Spot Treatments - Spot treatments for specific ant nests or infestations usually fall within a $50 to $200 range. The cost depends on the number and size of nests, with larger or hard-to-access nests costing more. Some providers may charge per nest or per hour.

Ongoing Maintenance - Regular ant control services can cost between $75 and $200 per visit, with quarterly plans often priced around $200 to $600 annually. Costs vary based on the frequency of visits and property size, with some providers offering customized maintenance plans.

Actual totals will depend on details like access to the work area, the scope of the project, and the materials selected, so use these as general starting points rather than exact figures.

Get an Ants Extermination Service Quote

Ants Extermination - Local pest control providers offer targeted ant extermination services to eliminate colonies and prevent future infestations. They utilize effective methods to address both residential and commercial ant problems.

Indoor Ant Control - Professionals specialize in treating indoor areas where ants have entered, focusing on removing visible nests and sealing entry points. This service helps restore a pest-free indoor environment.

Outdoor Ant Treatment - Service providers apply treatments around the exterior of properties to create a barrier against ant colonies and reduce the likelihood of indoor invasions. This approach aims to address the source of the problem.

Ant Infestation Inspection - Local pros conduct thorough inspections to identify ant activity, nesting sites, and infestation severity. They provide recommendations for effective treatment strategies.

Preventive Ant Control - Experts offer ongoing prevention services, including barrier treatments and habitat modifications to minimize the risk of future ant problems. These services support long-term pest management.

Emergency Ant Extermination - Immediate response services are available for urgent ant infestations, helping to quickly reduce ant populations and restore comfort in affected spaces.

Ants Extermination Service

When evaluating local professionals for ant extermination services, experience is an important factor to consider. Homeowners should look for service providers with a proven track record in handling ant infestations similar to their situation. Established local pros often have extensive knowledge of common ant species in Hutchins, TX, and nearby areas, which can contribute to more effective treatment strategies. Reviewing the background and length of service of potential providers can help ensure that the selected contractor has the necessary familiarity and expertise to address specific pest issues.

Clear and written expectations are essential for a successful pest control experience. Reputable local pros typically provide detailed information about their services, including the scope of work, treatment methods, and any necessary follow-up steps. This transparency helps homeowners understand what to expect and ensures that there are no misunderstandings about the process. When comparing options, it’s beneficial to ask potential service providers about their approach to ant extermination and to seek written documentation outlining the services offered.

Reputation and communication are key indicators of reliable local professionals. Homeowners are encouraged to seek references or reviews from previous clients to gauge the quality of service and customer satisfaction. Good communication practices, such as prompt responses to inquiries and clear explanations of treatment options, contribute to a positive experience. By focusing on these aspects, homeowners can better identify local pros who are reputable, transparent, and attentive to their needs, making the process of selecting an ant extermination service more informed and straightforward.

Get an Ants Extermination Service Quote

Property owners in Hutchins, TX use Ants Extermination Service services for practical projects around their homes and businesses. The sections below highlight everyday jobs and straightforward project options.

Ants Extermination Service
Ants Extermination Service

Ants extermination services are commonly sought by property owners in Hutchins, TX, when they notice persistent ant activity around their homes or businesses. Common situations include discovering ant trails near kitchens, bathrooms, or entry points, which can indicate an ongoing infestation. Property owners may also seek professional help after attempting DIY methods that do not eliminate the problem, especially when ants continue to invade stored food, disrupt outdoor gatherings, or build nests within walls and foundations.

In addition to immediate infestations, property owners might contact local ant extermination specialists to prevent future issues. Ants can be attracted by food spills, moisture, or structural gaps, making regular inspections and targeted treatments a practical solution. Engaging experienced service providers can help address these everyday concerns effectively, ensuring properties remain ant-free and comfortable for residents and visitors alike.

Get an Ants Extermination Service Quote

How do ant extermination services work? Ant extermination services typically involve inspecting the property to identify ant entry points and nests, then applying targeted treatments to eliminate colonies and prevent future infestations.

Are ant extermination treatments safe for pets and children? Many extermination treatments are designed to be safe when used as directed; it's advisable to discuss concerns with the local service provider before treatment.

How long does an ant extermination treatment last? The effectiveness duration varies depending on the treatment method and the extent of the infestation, with some treatments providing ongoing protection for several months.

Can ant extermination services prevent future infestations? Yes, professional services often include recommendations and treatments aimed at reducing the likelihood of future ant problems.

How do I prepare my home for ant extermination? Preparation may involve clearing treated areas, removing food and water sources, and following any specific instructions provided by the local service provider.

Ants Extermination Solutions - Local service providers offer effective ant removal treatments tailored to residential and commercial properties in Hutchins, TX.

Inspections and Assessments - Pros can evaluate ant infestations to identify entry points and nesting areas for targeted extermination strategies.

Preventive Treatments - Service providers can apply barrier methods and exclusion techniques to help reduce future ant issues.

Ongoing Monitoring and Maintenance - Regular inspections and treatments can help maintain ant-free environments over time.

Ants Extermination Service

Considering Ants Extermination Service for a property in Hutchins, TX? The sections above highlight common project types, practical options, and details that often shape the scope of work.

When you are ready, use the quote form to share a few details about your project. Local pros can review the basics and respond with options that match what you have in mind.

Get an Ants Extermination Service Quote

Ants Extermination Quotes

Our Trusted Partners
Cantu Pest Control
Orkin
Hawx Pest Control